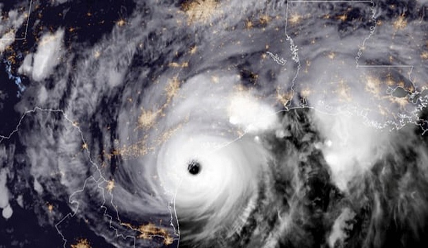
ضرب الإعصار هارفي ساحل ولاية تكساس يوم الجمعة كإعصار من الفئة الرابعة بسرعة رياح تصل إلى 209 كيلومترات في الساعة، وهو أعنف إعصار يضرب البرَّ الرئيس الأمريكي منذ أكثر من عشر سنوات.
ووصل الإعصار إلى اليابسة في المنطقة الواقعة بين ميناءي آرانساس و أوكونور نحو الساعة العاشرة مساء بتوقيت تكساس (0300 بتوقيت جرينتش)، ومن المتوقع أن يرتفع منسوب مياه البحر بسبب الإعصار إلى نحو 3.9 متر، وأن تصل معدلات الأمطار الناتجة عنه إلى 90 سنتيمترًا، وذلك على طول ساحل ولاية تكساس وأجزاء من ولاية لويزيانا، حيث من المتوقع أن يستمر لعدة أيام.
ويعتبر الإعصار هارفي أول إعصار من الدرجة الرابعة يضرب الولايات المتحدة منذ الإعصار تشارلي في 2004، والأول من نوعه في تكساس منذ الإعصار كارلا العام 1961.
ويوجد الإعصار على بعد نحو 45 كيلومترًا من كوربوس كريستي، وهي مدينة يبلغ تعداد سكانها 320 ألف شخص، وأدى الإعصار إلى انقطاع التيار الكهربائي عن بعض المنازل في المدينة والبلدات المجاورة.
وبينما فرّ الآلاف من الفيضانات والدمار الذي من المتوقع أن يحدثه الإعصار، تحدى الكثيرون أوامر الإخلاء الإلزامية وقاموا بتخزين الطعام والوقود و أكياس الرمل.
وذكرت وسائل إعلام محلية أن عمدة بلدة روكبورت قال للصحفيين يوم الجمعه: “نحن نقترح على الأشخاص الذين يريدون البقاء هنا أن يضعوا علامة بواسطة قلم تلوين على أذرعهم مع كتابة أسمائهم وأرقام ضمانهم الاجتماعي… نحن نكره الحديث في أمور مثل هذه، وهذا ليس شيئًا نحب القيام به، ولكنه الواقع والناس لا يستمعون”.
ويعيش نحو 5.8 مليون شخص في مناطق تقع على مسار العاصفة الذي يمر في قلب مناطق عمليات تكرير النفط الأمريكية، وأدّى تأثير العاصفة على مصافي التكرير الأمريكية إلى زيادة أسعار النفط.
وكإعصار من الفئة الرابعة على مقياس سافير-سيمبسون للأعاصير يستطيع هارفي اقتلاع الأشجار من جذورها، وتدمير المنازل، وتعطيل المنشآت لأيام. وهو أول إعصار من الفئة الثالثة أو أكثر يضرب البرَّ الرئيس الأمريكي منذ الإعصار ويلما في 2005.
وقال دونالد ترامب عبر “تويتر” قبل وقت قصير من وصول هارفي لليابسة، إنه وقّع إعلان كوارث “سيطلق العنان للقوة الكاملة للمساعدة الحكومية”. ويعد هارفي أول كارثة طبيعية بهذا الحجم تواجه ترامب منذ توليه الرئاسة.
وعلى بعد 137 كيلومترًا إلى الشمال في مدينة فيكتوريا، قال عمدة المدينة بول بولاسيك لمحطة (سي.إن.إن) الإخبارية إنه يقدّر عدد من رفضوا أوامر الإخلاء الإجباري بنحو 60 إلى 65 بالمئة من سكان المدينة البالغ عددهم 65 ألفًا.
وأظهر آخر تتبع أجراه المركز الوطني الأمريكي للأعاصير استقرار العاصفة جنوب غربي مدينة هيوستن لأكثر من 24 ساعة، مما أعطى رابع أكبر مدن البلاد كثافة سكانية جرعة مضاعفة من المطر والرياح الشديدة.
وقال المركز الوطني الأمريكي للأعاصير: “من المتوقع حدوث فيضانات ضخمة تهدد الأرواح بالقرب من الشاطئ بسبب الأمطار الغزيرة والعواصف”.
وأعلنت تكساس ولويزيانا حالة الكوارث، مما يسمح للسلطات باستخدام الموارد.
وحذّرت سلطات مدينة هيوستن مواطنيها من فيضانات ستنجم عن أمطار يصل معدلها إلى 60 سنتيمترًا على مدار عدة أيام.
المصدر: ارم

