البث المباشر
الرئيسية
الأخبار
البرامج
فلسطين
الكوثر +
فارسی
البث المباشر
بحث
فارسی
ساحل ولاية تكساس
"إتركني أنا حامل" .. فأطلق عليها 5 رصاصات (فيديو)
الأميرکيتان _الكوثر:
الأحد 19 مايو 2019 - 10:19 بتوقيت مكة
ارتفاع عدد ضحايا إعصار “هارفي” إلى 44 شخصاً
الولايات المتحدة الأمريكية _ الكوثر
الجمعة 1 سبتمبر 2017 - 14:21 بتوقيت مكة
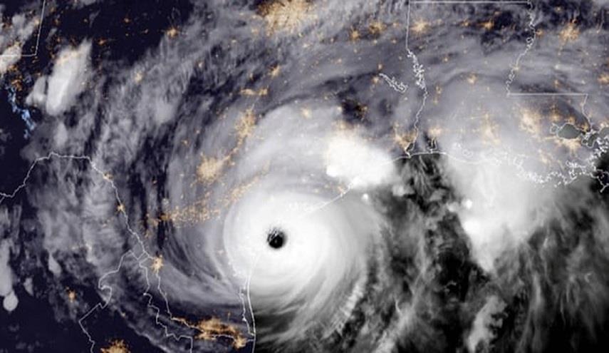
بالفيديو والصور..الإعصار هارفي يضرب بعنف ساحل تكساس
الاميركيتان - الكوثر
السبت 26 أغسطس 2017 - 14:43 بتوقيت مكة
>>
>
1
<
<<
11/18/2025 5:24:22 AM