شاركوا هذا الخبر

كيف اكتسب إعصار "هارفي" قوته المدمرة؟

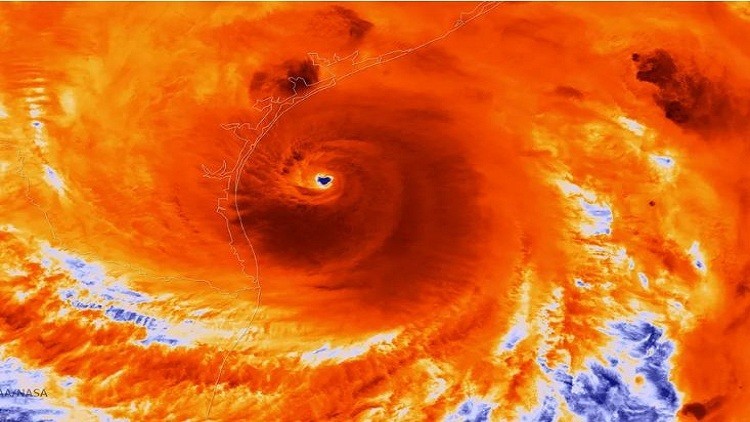
منوعات / الكوثر: اجتاح إعصار "هارفي" سواحل تكساس مصطحبا معه رياحا تخطت سرعتها 200 كلم/ الساعة، وهو ما جعله يصنف ضمن الفئة الرابعة.

كيف اكتسب إعصار "هارفي" قوته المدمرة؟

ويقول العلماء إن ما أجج الإعصار هو رقعة عميقة من المياه الدافئة في خليج المكسيك، حيث أن المياه الدافئة تغذي الأعاصير التي تبدأ عندما يضطرب الطقس على شكل عاصفة صغيرة تمتص الهواء الرطب الدافئ فوق سطح المحيط إلى الطبقة السفلى من الغلاف الجوي، وعندما يصل الهواء المحمل بالرطوبة إلى درجات حرارة أكثر برودة مع ارتفاعه في الغلاف الجوي، يتكاثف ليشكل السحب التي تبدأ بالدوران والنمو، وتغذيها مياه المحيط الدافئة عندما تتبخر.

تعمل مياه المحيط الدافئة على تكثيف الأعاصير لأنها توفر المزيد من الحرارة وبالتالي المزيد من الطاقة للعواصف.

وكان خليج المكسيك دافئا بشكل غير عادي هذا العام، وفقا لما ذكرته وكالة أسوشيتد برس، ولكن هذا ليس السبب الوحيد الذي جعل إعصار هارفي يتحول إلى هذه العاصفة الوحشية، حيث أشار Nick Shay، أستاذ الأرصاد الجوية وعلم المحيطات في جامعة ميامي، إلى أن هناك ظاهرة أخرى بالمحيطات تسمى الدوامة المركزية الدافئة (warm core eddy)، هي التي ساهمت في زيادة قوةإعصار هارفي.

وقال جيف ماسترس، مدير الأرصاد الجوية في "The Weather Underground"، عبر رسالة إلكترونية إلى موقع ذي فيرج إن "الجمع بين درجات حرارة البحر الدافئة بنحو 2 درجة مئوية فوق المعدل المتوسط، والدوامة الدافئة، هو ما سبب زيادة قوة هارفي"، كما ساعد في ذلك سرعة واتجاه الرياح التي لم تتغير كثيرا بالتزامن مع مواصلة العاصفة ارتفاعها نحو الغلاف الجوي، ما سمح للإعصار بالحفاظ على قوته.

وأضاف "Shay" أن الدوامات الدافئة "تتشكل عندما تلقي حافة التيار الدافئ المتدفق من المحيط إلى كوبا والمكسيك، حلقة من مياه عميقة دافئة نحو خليج المكسيك، وهذه الحلقات الدافئة من المياه تسير ببطء من الشرق إلى الغرب، وعندما تتواجد إحداها في الخليج خلال موسم الأعاصير "عندها نكون في مأزق"، وذلك لأن الدوامات المركزية الدافئة يمكن أن تكون بعمق 300 إلى 400 قدم، مما يوفر الكثير من الحرارة الدافئة بشكل كاف لتغذية الإعصار. 

ويؤكد Shay على أن المياه الدافئة العميقة "تلعب دورا كبيرا في تغيير قوة الدوامات الدافئة وتوفر مصدرا متواصلا للحرارة في الغلاف الجوي".

المصدر: روسيا اليوم

أهم الأخبار

الأكثر مشاهدة